logo mondocasa

€ 29.994

  • in Vendita
  • Mq: 16.901

Descrizione

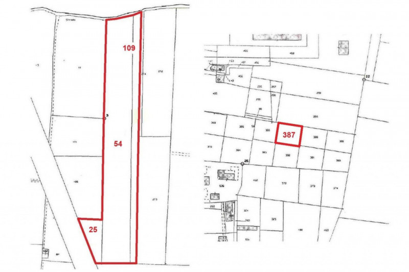
Quest’immobile viene venduto tramite asta online. Due appezzamenti di terreno siti a Giugliano di Campania (NA). Il primo in località San Giuseppiello (foglio 25). Il secondo in località Chiantano Piccolo (foglio 50). Condizioni discrete. Quimmo. it.

A tutti i terreni si accede attraverso servitù di passaggio non adatte alle esigenze produttive. Appezzamenti pianeggianti di forma regolare parzialmente delimitati e privi di viabilità interna. I terreni sono a destinazione agricola, liberi di fabbricati e non rientranti nelle zone edificabili. Aree incolte con vegetazione spontanea. Immobili descritti nella perizia allegata come cespiti a GIUGLIANO DI CAMPANIA. Superficie catastale: 16901 mq Piena proprietà di: Terreno a San Giuseppiello (CT): Foglio 25 – Particelle 25, 54 e 109 Terreno a Chiantano Piccolo (CT): Foglio 50 – Particella 387 Offerta minima: 29994 EURO. it: iniziativa tech del Gruppo illimity specializzata nell’intermediazione digitale di beni immobili provenienti da tribunali, nuovi sviluppi immobiliari, financial institutions e libero mercato. Da oltre 10 anni Quimmo. it è il portale specializzato nella compravendita di immobili tramite asta giudiziaria. Il portale è infatti iscritto nel Registro Gestori della vendita telematica e nell’elenco dei siti web autorizzati allo svolgimento della pubblicità legale. Con Quimmo puoi scegliere tra migliaia di immobili di ogni tipo e partecipare alle aste online per acquistare la soluzione più adatta alle tue esigenze. Affidati all’esperienza decennale dei nostri esperti e richiedi l’assistenza gratuita per la presentazione e compilazione dell’offerta. Contattaci subito. --- annuncio pubblicato con GESTIONALEIMMOBILIARE.

Dettagli

  • ID Annuncio: 48053491
  • Prezzo: € 29.994
  • Superficie: 16.901 m²
  • Pubblicazione: 05/12/2025
  • Tipologia:
  • Contratto:

Informazioni aggiuntive

  • Arredamento: Non Specificato
  • Riscaldamento: Non Specificato
  • Cucina: Non Specificata
  • Condizioni: Non Specificate

Efficienza Energetica

  • Classe Energetica: Non Comunicata
  • I.P.E.: 0.00 kWh/m2anno

Indirizzo Caricamento...