logo mondocasa

Terreno

€ 89.000

  • in Vendita
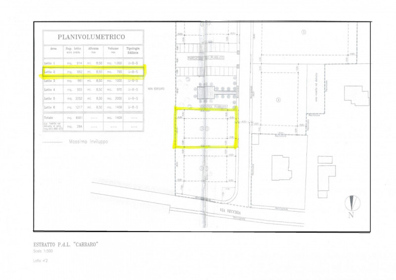
  • Mq.: 682

Descrizione

Nel cuore della campagna veneta, Campodoro rappresenta una realtà tranquilla e affascinante, un piccolo comune in provincia di Padova che si trova al confine con la provincia di Vicenza. La sua posizione è ideale per chi cerca la serenità di un ambiente rurale senza rinunciare alla comodità dei servizi e alla vicinanza alle città più grandi.

A soli 200 metri dalla chiesa e dal centro del paese, l'area in vendita si trova in una zona ben servita, che offre l'accesso a scuole, bar e negozi, senza perdere la quiete tipica di una piccola comunità. Proponiamo in vendita un comodo terreno edificabile residenziale di 682 mq, con una cubatura edificatoria di 765 metri cubi. La cubatura del lotto e le sue buone dimensioni offrono molteplici possibilità di sviluppo, permettendo di realizzare una villa dalle buone dimensioni, che può diventare la residenza perfetta per una famiglia che cerca spazi ampi e personalizzati. Inoltre, è possibile progettare una comoda bifamiliare, ideale per chi desidera costruire una soluzione abitativa per più nuclei familiari. Essendo una lottizzazione già sviluppata, gli oneri primari e secondari sono stati già assolti, riducendo significativamente le spese per chi intende intraprendere la costruzione. OTTIMO PER POTER COSTRUIRE LA CASA DEI TUOI SOGNI. La disponibilità è immediata. Servizi del Comune di Campodoro: Il paese dispone di scuole elementari e secondarie, asilo, palestra, farmacia, banche, supermercati, bar e un mercato settimanale. Inoltre, si trova a soli 3 km dal casello autostradale di Grisignano di Zocco, garantendo rapidi collegamenti con le città vicine. --- annuncio pubblicato con GESTIONALEIMMOBILIARE.it.

Dettagli

  • ID Annuncio: 48620332
  • Prezzo: € 89.000
  • Superficie: 682 m²
  • Pubblicazione: 21/10/2025
  • Tipologia:
  • Contratto:

Informazioni addizionali

  • Arredamento: Non Specificato
  • Riscaldamento: Non Specificato
  • Cucina: Non Specificata
  • Condizioni: Non Specificate

Efficienza Energetica

  • Classe Energetica: NON SOGG. CERT.
  • I.P.E.: 0.00 kWh/m2anno

Indirizzo Caricamento...