logo mondocasa

Terreno

€ 170.000

  • in Vendita
  • Mq: 637

Descrizione

A pochi minuti dalle splendide spiagge di Costa Rei e Cala Sinzias, proponiamo in vendita un lotto edificabile di 637 mq situato a Olia Speciosa, nel comune di Castiadas. --- annuncio pubblicato con GESTIONALEIMMOBILIARE. it.

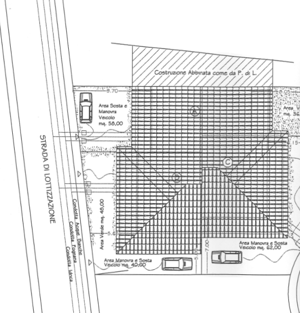
Il terreno ha un indice di edificabilità di 1,15 mc/mq, che consente la realizzazione di un volume massimo di 739 mc. Nel 2007 era già stato presentato al Comune un progetto per la costruzione di tre villette, oggi riproponibile o adattabile a nuove soluzioni. La zona è caratterizzata da un contesto residenziale tranquillo, ben servito e in forte crescita, ideale per chi cerca una residenza privata immersa nella natura o un investimento turistico in una delle aree più richieste della Sardegna sud-orientale. Un’opportunità unica per costruire la casa dei propri sogni o sviluppare un progetto abitativo di pregio a pochi passi dal mare.

Dettagli

  • ID Annuncio: 49493080
  • Prezzo: € 170.000
  • Superficie: 637 m²
  • Pubblicazione: 21/10/2025
  • Tipologia:
  • Contratto:

Informazioni aggiuntive

  • Arredamento: Non Specificato
  • Riscaldamento: Non Specificato
  • Cucina: Non Specificata
  • Condizioni: Non Specificate

Efficienza Energetica

  • Classe Energetica: NON SOGG. CERT.
  • I.P.E.: 0.00 kWh/m2anno

Indirizzo Caricamento...