logo mondocasa

€ 4.000

  • in Vendita
  • Mq: 10

Descrizione

Quest’immobile viene venduto tramite asta online. Posto auto di mq 10 a Campi Bisenzio (FI), in Via Guido Mammoli. L’area è pavimentata ad asfalto e in buone condizioni. Per maggiori dettagli consultare i documenti allegati. Quimmo. it.

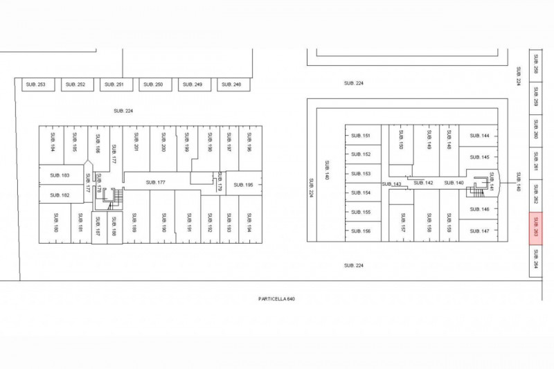
Questo posto auto esterno è delimitato da strisce bianche nel piazzale di un edificio condominiale, identificato catastalmente al foglio di mappa 30, particella 659 subalterno 263. Situato in una zona comoda e facilmente accessibile, questo posto auto offre una soluzione pratica per il parcheggio quotidiano. Bene descritto in perizia come LOTTO E Sono compresi nella vendita i proporzionali diritti di comproprietà su beni comuni e spazi di uso comune. Offerta minima: 4000 EURO. it: iniziativa tech del Gruppo illimity specializzata nell’intermediazione digitale di beni immobili provenienti da tribunali, nuovi sviluppi immobiliari, financial institutions e libero mercato. Da oltre 10 anni Quimmo. it è il portale specializzato nella compravendita di immobili tramite asta giudiziaria. Il portale è infatti iscritto nel Registro Gestori della vendita telematica e nell’elenco dei siti web autorizzati allo svolgimento della pubblicità legale. Con Quimmo puoi scegliere tra migliaia di immobili di ogni tipo e partecipare alle aste online per acquistare la soluzione più adatta alle tue esigenze. Affidati all’esperienza decennale dei nostri esperti e richiedi l’assistenza gratuita per la presentazione e compilazione dell’offerta. Contattaci subito. --- annuncio pubblicato con GESTIONALEIMMOBILIARE.

Dettagli

  • ID Annuncio: 49554397
  • Prezzo: € 4.000
  • Superficie: 10 m²
  • Pubblicazione: 05/12/2025
  • Tipologia:
  • Contratto:

Informazioni aggiuntive

  • Arredamento: Non Specificato
  • Riscaldamento: Non Specificato
  • Cucina: Non Specificata
  • Condizioni: Non Specificate

Efficienza Energetica

  • Classe Energetica: Non Comunicata
  • I.P.E.: 0.00 kWh/m2anno

Indirizzo Caricamento...